Der Captain deckt auf Hanover Shoe Farms

Hanover / Pennsylvania, Donnerstag, 4. November 2021. Kein Comeback auf der Rennbahn geben wird es voraussichtlich für Hambletonian-Sieger Captain Corey, der sich Mitte September eine Hufbein-Fraktur zugezogen hatte.
Damals hatte Trainer und Mitbesitzer Åke Svanstedt verlauten lassen, die Saison, in der er noch das Kentucky Futurity und die Breeders Crown hätte bestreiten sollen, sei für den schwarzbraunen Googoo-Gaagaa-Sohn natürlich beendet, doch „der Bruch liegt vergleichsweise günstig, und ich könnte mir durchaus vorstellen, ihn im kommenden Jahr wieder an den Start zu bringen, wenn der Heilungsprozess wie gewünscht verläuft. Aber dazu müssen die anderen Eigner zustimmen.“
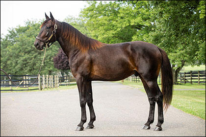
Die wollten offensichtlich lieber den konkreten Spatz in der Hand als die vage Taube auf dem Dach, und so wird der Viertel-Pacer nach insgesamt nur 14 Starts, von denen er zehn gewonnen hat, mit 1.090.333 US-Dollar und einem Rekord von 1:51.0 / 1:09,0, den er bei seinen Siegen in Hambletonian und Earl Beal Memorial markiert hat, in die Zucht entlassen.
Aufgestellt wird der als Jährling am 4. Oktober 2019 in Lexington für 150.000 Dollar verauktionierte Hengst, der syndikatisiert werden soll, auf der weltbekannten Hanover Shoe Farms, die einige Anteile erworben hat. „Captain Corey ist ein in jeder Hinsicht beeindruckender Typ mit einem gewaltigen, effizienten Geläuf und als Sohn eines Halb-Pacers der Outcross-Hengst für fast alle Stuten. Er war mit dem ersten Start ein echter Hingucker, und ich bin überzeugt, er wird seine Kapazitäten, seinen Kampfgeist, sein Wesen erstklassig weitervererben."
"Speziell in Nordeuropa sind einige außergewöhnliche Nachkommen von Googoo Gaagaa gezüchtet worden (Power, Hail Mary, Bythebook, Usain Töll, die alle bereits über eine Million SEK gewonnen haben / Anm.d.Red.), die als beste Referenzen für Captain Corey gelten können“, ließ Hanover-Farms-Managerin Dr. Bridgette Jablonsky verlauten. Die Decktaxe für 2022 wird bei 8.500 US-Dollar veranschlagt.
Walners Decktaxe: 30.000 „Greenbacks“
Am gleichen Tag kündigte das Walner-Syndikat an, dass die „stud fee“ (Decktaxe) für den mit seinem ersten Jahrgang wie eine Bombe eingeschlagenen Hengst 2022 auf 30.000 US-Dollar erhöht wird. Aufgestellt ist er auf der Southwind Farm in New Jersey. Syndikat-Sprecher David Reid betonte, er sei selbst überrascht gewesen ob der Fülle an erstklassigen Nachkommen, die 2021 erstmals eine Rennbahn betreten haben. „Nach seiner Performance auf der Rennbahn und seinem Pedigree haben wir uns große Hoffnungen gemacht, doch der Erfolg seiner Kinder übertraf all unsere Erwartungen. Natürlich spielt auch eine Rolle, dass wir uns die Ahnen- und Leistungstafeln der ihm 2018 erstmals zugeführten Stuten genau angeschaut haben.“
20 seiner 2019 geborenen Nachkommen haben einen Zweijährigen-Rekord von 1:55.0 / 1:11,5 oder darunter, acht haben mehr als 100.000 Dollar verdient. Angeführt wird die Liste von Venerable, die neun ihrer zehn Rennen gewonnen hat und mit 927.295 Dollar die trabende Generation 2019 anführt. 70 seiner 93 in Nordamerika registrierten Kinder sind an den Start gekommen und haben 4.026.528 Dollar zusammengetrabt - 1,4 Millionen mehr als die Nummer zwei der Zweijährigen-Rangliste, Walners Erzeuger Chapter Seven. Nicht zuletzt haben seine aktuellen Jährlinge bei der Lexington-Auktion Anfang Oktober Rekordpreise erzielt, so dass mit Spannung auf die am Montag beginnende Auktion in Harrisburg geblickt wird: Dort werden 19 Jährlinge von ihm und elf nach ihm trächtige Mutterstuten angeboten.